Price Range: from $200 to $2,500,000
Size Range: from 10 SqFt to 1,000 SqFt
Land Area Range: from 10 SqFt to 1,000 SqFt
Other Features
Price Range: from $200 to $2,500,000
Size Range: from 10 SqFt to 1,000 SqFt
Land Area Range: from 10 SqFt to 1,000 SqFt
Other Features

1000 Mohawk, Conroe, TX 77316

$625,000

Description

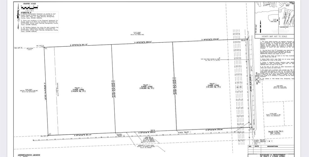
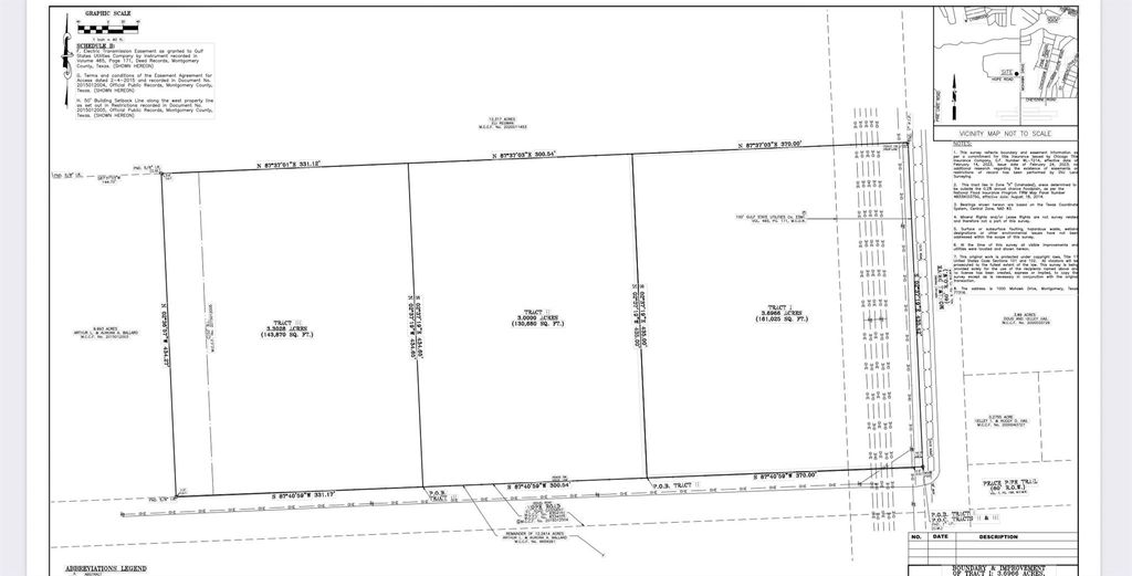
Don’t miss this rare opportunity to own nearly 10 acres (9.99 surveyed acres) of prime land in Montgomery County, conveniently located in the Lake Conroe area. Situated on a paved road, this expansive tract of land offers incredible flexibility for buyers—whether you’re looking for a private estate, investment opportunity, or future development project.

Subdivision Potential:
This property can be subdivided into 3 separate tracts, as outlined in the preliminary survey. Each of the 3 parcels has allowed access from Hope Road, making it easy for multiple residences or investment sales. The seller is open to splitting the acreage and selling the tracts individually, providing buyers with flexible purchasing options.

Key Features:

  • 9.99 Acres of unrestricted land (per survey)
  • Foreclosure listing – priced to sell
  • Road frontage on a paved street
  • Can be split into 3 separate tracts with legal access
  • Located in Montgomery County, one of the fastest-growing areas in Texas
  • Peaceful rural feel with proximity to Lake Conroe, shopping, and city conveniences

Documents Available:

  • Survey
  • Deed Restrictions
  • Elevation Map
  • Example Survey (divided into 3 lots)
  • Measurement in Ft-in

Property Details:

  • List Price: $625,000
  • Estimated Payment: $3,565/month (based on financing)
  • Lot Size: 9.99 acres (per survey)
  • Property Type: Lots / Land
  • Market Area: Lake Conroe Area
  • Legal Description: A0003 – ATKINS WM, TRACT 41 LOT 7

Overview

  • ID 77316
  • Type ,
  • Land Size 435,600 SqFt
  • Address 1000 Mohawk, Conroe, TX 77316
  • Country United States
  • Province/State
  • City/Town
  • Postal code/ZIP 77316

Details

  • Property ID 77316
  • Price $625,000
  • Property Type ,
  • Property Status
  • Land area 435,600 SqFt

Mortgage Calculator

Nearby Places

ACCESS_LIMIT_REACHED: You've reached the access limit for this client. See instructions for requesting a higher access limit at https://docs.developer.yelp.com/docs/fusion-rate-limiting
ACCESS_LIMIT_REACHED: You've reached the access limit for this client. See instructions for requesting a higher access limit at https://docs.developer.yelp.com/docs/fusion-rate-limiting
ACCESS_LIMIT_REACHED: You've reached the access limit for this client. See instructions for requesting a higher access limit at https://docs.developer.yelp.com/docs/fusion-rate-limiting

Rating & Reviews

Avarage User Rating

0/ 5

Rating Breakdown

  • 0%
  • 0%
  • 0%
  • 0%
  • 0%

Write A Review

Compare

Contact Form