Price Range: from $200 to $2,500,000
Size Range: from 10 SqFt to 1,000 SqFt
Land Area Range: from 10 SqFt to 1,000 SqFt
Other Features
Price Range: from $200 to $2,500,000
Size Range: from 10 SqFt to 1,000 SqFt
Land Area Range: from 10 SqFt to 1,000 SqFt
Other Features

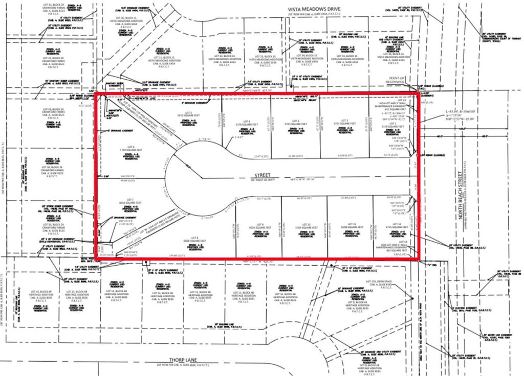
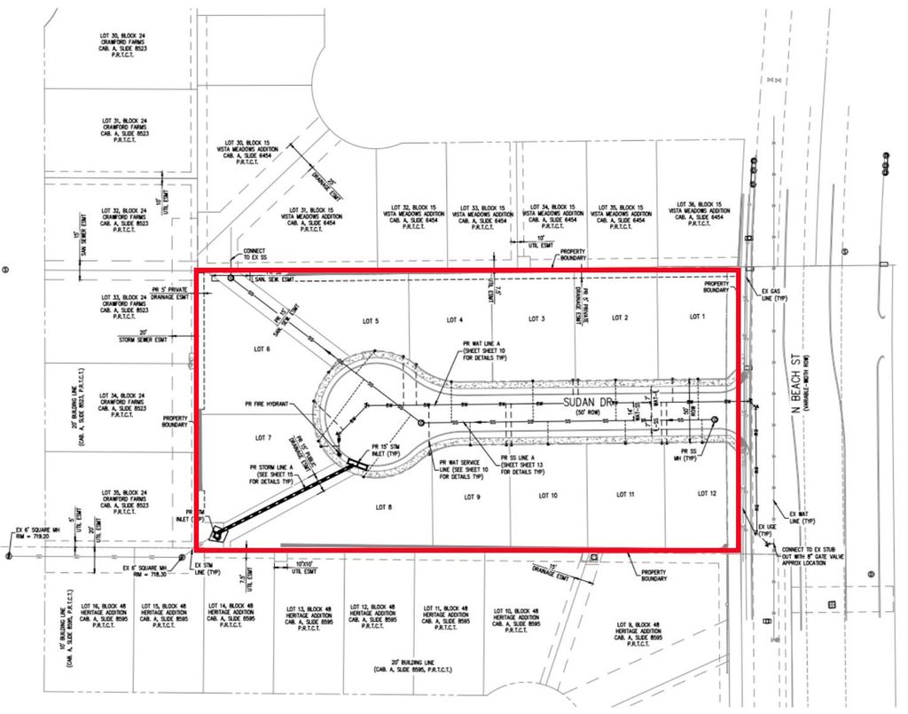
2.16 Acres | Development Opportunity | Fort Worth, TX

$799,900

Description

A rare and ready-to-develop opportunity in the heart of Fort Worth!
This 2.16-acre property is fully city-approved for 12 planned lots, making it a perfect project for builders and developers seeking high-demand residential inventory in the prestigious Keller ISD.

The sale includes full engineering plan sets, city approval letters, sewer, water, and drainage studies—all the groundwork is done for you.

With new homes in the area selling for $650K+, this is a high-potential investment offering multiple exit strategies, from small subdivision development to build-to-sell custom homes.

💰 List Price: $799,900
📍 Address: 10001 N Beach St, Fort Worth, TX 76244

  • MLS#: NTREIS-21044618

  • Lot Size: 2.16 Acres / Assessor

  • Subdivision: Fellowship Add (Block 1)

  • County: Tarrant County

  • Property Type: Land / Unimproved Land

  • Lot Description: Subdivision

  • Easements: Utilities

  • Utilities Available: City Sewer, City Water, Electricity, Storm/Drainage Connections, Concrete, Curbs

  • Road Surface: City Street, Curbs/Gutters, Storm Sewer

  • Listing Status: Under Contract – PS

Overview

  • ID 76244
  • Land Size 2.16 SqFt
  • Country United States
  • Province/State

Details

  • Property ID 76244
  • Price $799,900
  • Property Status
  • Land area 2.16 SqFt

Features

Mortgage Calculator

Nearby Places

ACCESS_LIMIT_REACHED: You've reached the access limit for this client. See instructions for requesting a higher access limit at https://docs.developer.yelp.com/docs/fusion-rate-limiting
ACCESS_LIMIT_REACHED: You've reached the access limit for this client. See instructions for requesting a higher access limit at https://docs.developer.yelp.com/docs/fusion-rate-limiting
ACCESS_LIMIT_REACHED: You've reached the access limit for this client. See instructions for requesting a higher access limit at https://docs.developer.yelp.com/docs/fusion-rate-limiting

Rating & Reviews

Avarage User Rating

0/ 5

Rating Breakdown

  • 0%
  • 0%
  • 0%
  • 0%
  • 0%

Write A Review

Compare

Contact Form